LOTE 001

favorite_border

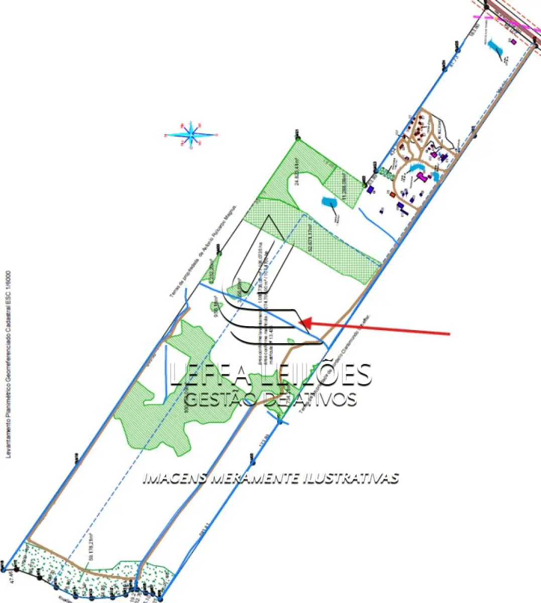
52,27 HECTARES COM ACESSO PELA RODOVIA RS-389 (ESTRADA DO MAR), E TESTADA COM A LAGOA DA ITAPEVA, RONDINHA, ARROIO DO SAL/RS

ACEITA LANCE PARCELADO
LANCE INICIAL
R$ 2.613.500,00
SEJA O PRIMEIRO A ENVIAR UM LANCE
COMISSÃO
R$ 261.350,00
10%
AVALIAÇÃO

R$ 5.227.000,00

INCREMENTO MÍNIMO

R$ 10.000,00

LOGIN NECESSÁRIO

FAÇA LOGIN PARA ENVIAR LANCES
Para participar deste leilão você precisa estar logado em sua conta
Lances antecipados disponíveis até o início do leilão
error_outline IMPORTANTE - SOBRE A DESCRIÇÃO DOS BENS

A descrição dos bens é uma cópia fiel das informações fornecidas pelos cartórios, comitente ou outro órgão responsável. Reservamo-nos o direito de corrigir possíveis erros de digitação. Os bens são vendidos no estado que se encontram, cabendo ao interessado pesquisar e confirmar suas características. As imagens são meramente ilustrativas e podem não representar a real situação do bem.

52,27 HECTARES COM ACESSO PELA RODOVIA RS-389 (ESTRADA DO MAR), E TESTADA COM A LAGOA DA ITAPEVA, RONDINHA, ARROIO DO SAL/RS – COM LAUDO TOPOGRÁFICO INCLUSO – AREA B. ASSIM DESCRITO: ÁREA B (CONFORME LAUDO) DO IMÓVEL DESCRITO NO R-4 DA MATRÍCULA Nº 13.435 RI DE TORRES/RS - EQUIVALENTE À METADE DA ÁREA ORIGINAL DE 107,47 HECTARES — CONFORME DETALHADO NA RESPECTIVA MATRÍCULA IMÓVEL - UMA gleba de terras, situada no lugar denominado Rondinha, distrito sede deste município, com a área superficial de 107,47 ha., com as seguintes medidas e confrontações: sudeste, por uma linha irregular quebrada, formada com três segmentos: o primeiro, partindo de leste para o oeste, numa extensão de 222,082 metros divide-se com a estrada do campo ou Avenida Paraguassú, tendo no outro lado terras do requerente; o segundo partindo de Sul ao norte, numa extensão de 798,80 metros, entesta com terras de Antônio Policarpo Magnus, e o terceiro, de leste a oeste, numa extensão de 291,95 metros, divide-se com terras do mesmo Antônio Policarpo Magnus, nordeste, com 1.828,89 metros de extensão, divide-se com terras de Antônio Policarpo Magnus, sudoeste, numa extensão de 2.327,55 metros divide-se com terras de Jordario Clarismundo Scheffer, noroeste, marginando ou contornando os bordados da Lagoa da Itapeva, na extensão que houver. Conforme matrícula número 13.435 do Registro de Imóveis da Comarca de Torres-RS

Nenhum lance ainda

Não foram ofertados lances para este lote. Faça seu lance e seja o primeiro!

Localização no Mapa
Edital de Leilão

Documento oficial com todas as regras e condições do leilão

Laudo Pericial

Arquivo PDF - 10.0 MB

Matrícula Do Imóvel

Arquivo PDF - 2.5 MB

Leilão

JUSTIÇA DO TRABALHO DE TORRES RS

Data do Leilão

QUI - 04/12/2025

11h00min

Modalidade

ONLINE

×
100%